72°
Baton Rouge, Louisiana
7 Day Forecast
Follow our weather team on social media

Hurricane Melissa solidified in the history books, ties for strongest Atlantic wind speeds

12 minutes 40 seconds ago Wednesday, February 25 2026 Feb 25, 2026 February 25, 2026 1:05 PM February 25, 2026 in Weather
Source: The Storm Station

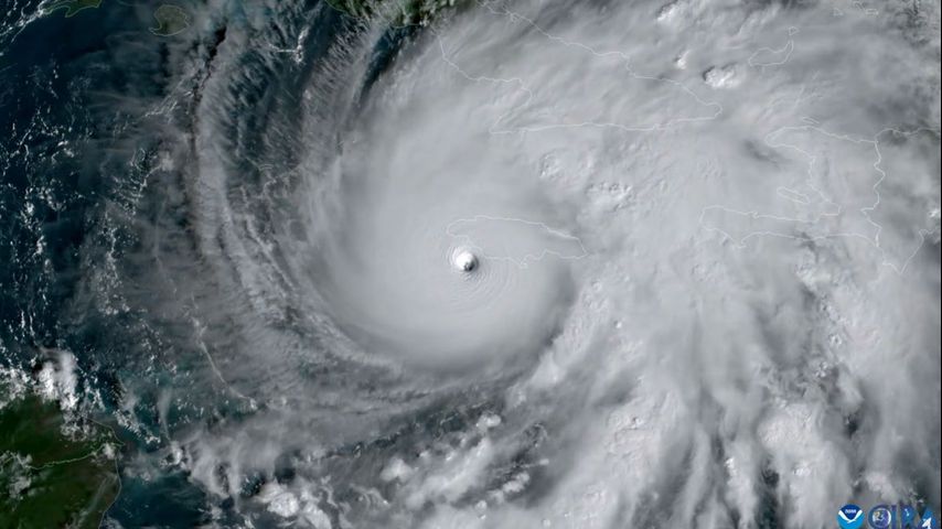
The National Hurricane Center (NHC) released its post-storm analysis of Hurricane Melissa, a storm that rewrote record books during its devastating trek across the Caribbean last October. The report validates multiple records, notably confirming that the storm now shares the title for the strongest sustained wind speed in an Atlantic hurricane. Such records include:

• Peak Intensity: At 190 mph, Melissa’s maximum sustained winds tie it with Hurricane Allen (1980) for the strongest ever recorded in an Atlantic hurricane.

• Landfall Power: Making landfall with winds of 185 mph, it ties the 1935 Labor Day Hurricane and Hurricane Dorian (2019) for the most powerful Atlantic landfall in recorded history.

• Atmospheric Pressure: With a minimum central pressure of 892 mb, Melissa ties the 1935 Labor Day Hurricane for the third-lowest pressure ever measured in the basin.

• Landfall Intensity: Its 897 mb pressure at the time of landfall stands as the second-lowest on record, surpassed only by the 892 mb mark of the 1935 Labor Day storm.

Even more staggering was a wind gust captured by the NOAA Hurricane Hunters as the storm’s eyewall approached the Jamaican coast. The instrument, known as a dropsonde, recorded a gust of 252 mph a few hundred feet above the surface. After months of quality control, this figure has been officially verified, marking the strongest wind gust ever recorded in a tropical cyclone worldwide. This surpassed the 248-mph dropsonde measurement record set by Typhoon Megi in 2010.

The report also details the catastrophic toll of the storm. Ninety-five known people are confirmed dead across the Caribbean. The estimated damage across Jamaica has been placed at $8.8 billion, encompassing 41% of Jamaica’s GDP in 2024. The report notes that “scale of destruction has been estimated as among the worst ever recorded for Jamaica. Infrastructure damage, collapsed homes, ruined hospitals, disrupted roads, flooding, and power outages combined to generate a nationwide humanitarian crisis with recovery and relief operations still ongoing as of this writing.”

The Storm Station is here for you, on every platform. Your weather updates can be found on News 2, wbrz.com, and the WBRZ WX App on your Apple or Android device. Follow WBRZ Weather on Facebook and X for even more weather updates while you are on the go.

More News

Desktop News

Click to open Continuous News in a sidebar that updates in real-time.
Radar
7 Days